Rainbow Bay

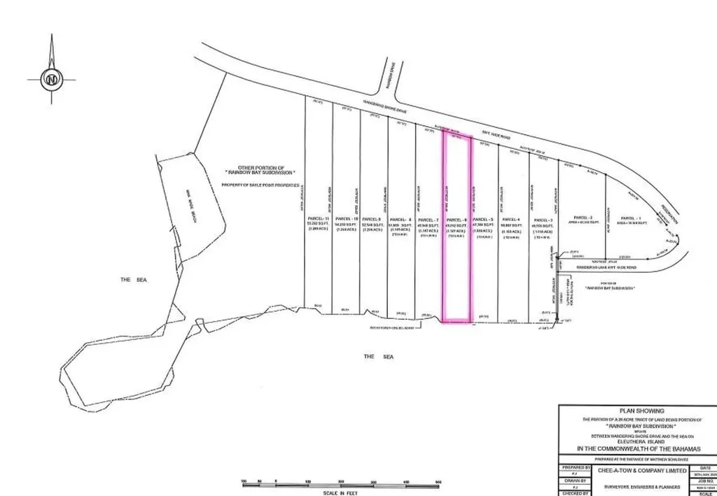
Located in the exquisite Rainbow Bay community on the island of Eleuthera, this oceanfront parcel offers the perfect fusion of space, convenience and coastal beauty. Spanning 1.12 acres, this property gives you ample room to design your ideal home, outdoor living and recreational areas, lush landscaping and even private trails toward the shoreline. The direct frontage on the Sea affords dramatic sea views. All essential infrastructure is in place, significantly easing the development process. Rainbow Bay is a highly sought-after subdivision. Residents benefit from beautiful beaches, community infrastructure and convenient access to Governor's Harbour amenities and the international airport. Whether crafting a private retreat or a high-end vacation home, the lot's location and ready utilities provide a strong foundation. With oceanfront lots in Eleuthera often appreciating, this parcel represents both immediate and long-term value.

Listing Tools

Property Details of Rainbow Bay Sea Front

Map Location

Courtesy of the MLS

The data relating to real estate for sale/lease on this website comes in part from a cooperative data exchange program of the Bahamas Multiple Listing Service (MLS) in which these Brokers participate (BREA). The properties displayed may not be all of the properties in the Bahamas MLS database, or all of the properties listed with Brokers participating in the cooperative data exchange program. Properties listed by Brokers other than this Broker/Agent are marked with the IDX Symbol, indicating an agreement to exchange property information. Detailed information about such properties are noted as Courtesy of: The Bahamas MLS. Information provided is thought to be reliable but is not guaranteed to be accurate. You are advised to verify facts that are important to you. No warranties, expressed or implied, are provided for the data herein, or for their use or interpretation by the user. This information is protected from unlawful duplication by copyright.

Hi there! How can we help you?

Contact us using the form below or give us a call.

Send Us A Message:

I agree to receive marketing and customer service calls and text messages from Corcoran CA Christie | Erin Gay-Surujlal. To opt out, you can reply 'stop' at any time or click the unsubscribe link in the emails. Consent is not a condition of purchase. Msg/data rates may apply. Msg frequency varies. Privacy Policy.

Do not fill in this field:

This site is protected by reCAPTCHA and the Google Privacy Policy and Terms of Service apply.

Hi there! How can we help you?

Contact us using the form below or give us a call.

Send Us A Message:

Do not fill in this field:

This site is protected by reCAPTCHA and the Google Privacy Policy and Terms of Service apply.

Hi there! How can we help you?

Contact us using the form below or give us a call.

Send Us A Message:

Do not fill in this field:

This site is protected by reCAPTCHA and the Google Privacy Policy and Terms of Service apply.

Do not fill in this field:

This site is protected by reCAPTCHA and the Google Privacy Policy and Terms of Service apply.

Do not fill in this field:

This site is protected by reCAPTCHA and the Google Privacy Policy and Terms of Service apply.

Do not fill in this field:

This site is protected by reCAPTCHA and the Google Privacy Policy and Terms of Service apply.

$

Do not fill in this field:

This site is protected by reCAPTCHA and the Google Privacy Policy and Terms of Service apply.